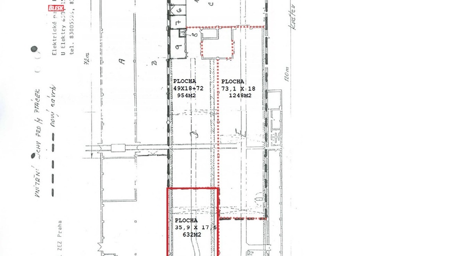
Pronájem výrobního prostoru 632 m², Praha - Hloubětín

- Adresa U Elektry 650/2, Praha 9 - Hloubětín
- Ev. č. RT1192-L1/a
- Typ výroba
- Plocha 632 m²
91 008 Kč za měsíc (1 728 Kč za m²/rok)
Cena je bez DPH a bez poplatků (60,- Kč/m2), včetně provize, včetně právního servisu
Pronájem skladu / výrobního prostoru 632 m²
Nebytový prostor vhodný na dílnu nebo sklad o velikosti 632 m² v areálu Tesla Hloubětín II. Objekt se nachází v přízemí s dostupností vjezdu nákladních aut.
Areál Tesla Hloubětín II. je kombinací kancelářských a skladových prostor v širším centru Prahy s výbornou dopravní dostupností.
Nájem jsme schopni garantovat do 31.12.2028.
Díky pronájmu přímo od majitele získává nájemce ty nejvýhodnější podmínky, neplatí žádnou provizi a uzavření nájemní smlouvy může být velmi rychlé.
Hlavní výhody areálu
- Výborná dostupnost MHD
- Přímé napojení na Pražský okruh a dálnice
- Vrátnice
- 24 hodinová ostraha
- Flexibilní uspořádání prostor
Možnost pronájmu parkovacího stání 1300 - 1500 Kč/měsíc
Uvedená cena je bez poplatků spojených s pronájmem.
Údaje k nemovitosti
| Kategorie | Výroba |
| Lokalita | U Elektry 650/2, Praha 9 - Hloubětín |
| Okres | území Hlavního města Prahy |
| Užitná plocha | 632 m² |
| Stav objektu | Dobrý |
| Budova | Smíšená |
| Typ domu | Přízemní |
| Datum nastěhování | Ihned |











