Prodej zahrady 810 m², Nestrašovice

- Adresa Nestrašovice
- Ev. č. RT1592-27671
- Typ pozemky - zahrady
- Plocha 810 m²
1 300 000 Kč (1 605 Kč za m²)
včetně provize
Prodej pozemku Nestrašovice
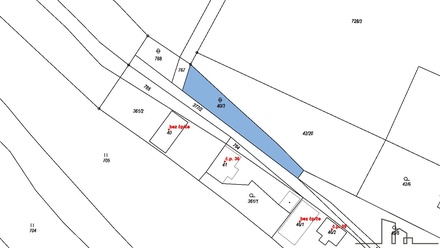
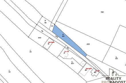
Nabízíme k prodeji dva pozemky o celkové výměře 810 m² (pozemky jsou o velikosti 591 m2 a 219 m2²) nacházející se v klidné části malebné obce Nestrašovice, okres Příbram. Pozemky najdete na okraji zastavitelného území a přímo sousedící se stavebními parcelami určenými k výstavbě rodinných domů. V současné době pozemky jsou vedené jako ostatní plocha. Díky své poloze představují zajímavou investiční příležitost s výhledem do budoucna. Na pozemku je zavedena elektřina. Přístup je zajištěn po obecní komunikaci nacházející se přímo u pozemků.
Zároveň vám mohu nabídnout klíč k bezstarostnému bydlení. V nabídce máme několik modelů rodinných domů, které můžeme dodat na klíč nebo ve stavu hrubé stavby k vlastnímu dokončení. Všechny domy jsou navrženy v moderním stylu a nabízejí tak otevřený a vysoce kvalitní koncept bydlení. Tyto cenově zajímavé domy na klíč vám mohu zajistit a to není vše - jako bonus vám zajistíme veškeré vyřízení nezbytných povolení a jednání např. se Stavebním úřadem, tím Vám ušetříme spoustu Vašeho drahocenného času.
Pozemek poskytuje skvělou příležitost pro výstavbu vašeho vysněného domova nebo rekreační stavby (možnost i bez stavebního povolení). Nepropásněte tuto jedinečnou šanci na investici do výjimečné lokality! Tato lokalita je známá svým krásným přírodním prostředím a nabízí výjimečnou kombinaci klidu a dostupnosti občanské vybavenosti. Oblast je ideální pro rodinné i rekreační bydlení.
Zvu vás na prohlídku, kde pozemek osobně ukáži a zodpovím případné dotazy. Cena je s provizí RK. . Nemovitost lze financovat hypotečním úvěrem, který Vám pomůžeme zajistit s nejlepším úrokem na trhu.
Údaje k nemovitosti
| Kategorie | Pozemky - zahrady |
| Lokalita | Nestrašovice |
| Okres | Příbram |
| Plocha pozemku | 810 m² |
| Umístění objektu | Klidná část obce |

Opletalova 1417/25
Praha 1
+420 704 532 094
podpora@reality-proradost.cz
Zobraz 598 nabídek






















